Hopp til innhald
Hopp til meny
Hopp til søk
Ulstein kommune
Skrift
Kontrast
Min kommune
Søk
Meny
Min kommune
Kontakt oss
Aktuelt
Tenester
Påverknad og politikk
Organisasjon og tilsette
Skrift
Kontrast
Min kommune
Kontakt oss
Sjølvbetening
Ledige stillingar
Postliste, møtedokument og høyringar
Planar, rapportar og styringsdokument
Beredskap
Ulstein kommune blir del av nasjonal satsing for fleire digitale eldre
Pressemelding: Ulstein kommune og det nasjonale Senteret for eit aldersvennleg Noreg har inngått ein avtale om å prøve ut nye tiltak for å få fleire eldre digitale.
Kva ser du etter?
Barnehage og skule
Helse og omsorg
Kultur, idrett og fritid
Bygg, eigedom og plan
Næring og skatt
Bustad og sosiale tenester
Veg, vatn og miljø
Påverknad og politikk
Organisasjon og tilsette
Aktuelt
25.03.2026
Bur du på ein gard, og ønsker å vite meir om moglegheitene for å utvikle garden vidare?
Over 135 deltakarar fekk med seg fyrste runde med Garden som ressurs. No arrangerer hoppid-kontora i Hareid, Herøy, Ulstein, Sande og Vanylven, i samarbeid med Vekst i Hareid og Ulstein...
24.03.2026
Bli med på vårens arrangement for gründerar og etablert næringsliv
Er du ganske nyetablert eller lurer på å starte eiga verksemd, eller driv de verksemd men treng tips om mellom anna Skattefunn, Innovasjon Norge sine ordningar og EU-søknadar?
23.03.2026
Vaksine mot helvetesild tilgjengeleg etter påske
Etter stor pågang nasjonalt, har det no endeleg blitt mogleg å få tak i vaksine mot helvetesild. Ulstein helsestasjon kan tilby denne vaksinen frå etter påske.
16.03.2026
Markering av barnehagedagen - Sundgotmarka barnehage
10. mars markerte Sundgotmarka barnehage barnehagedagen. Alle små og store var samla til felles samlingsstund på hovudhuset.
13.03.2026
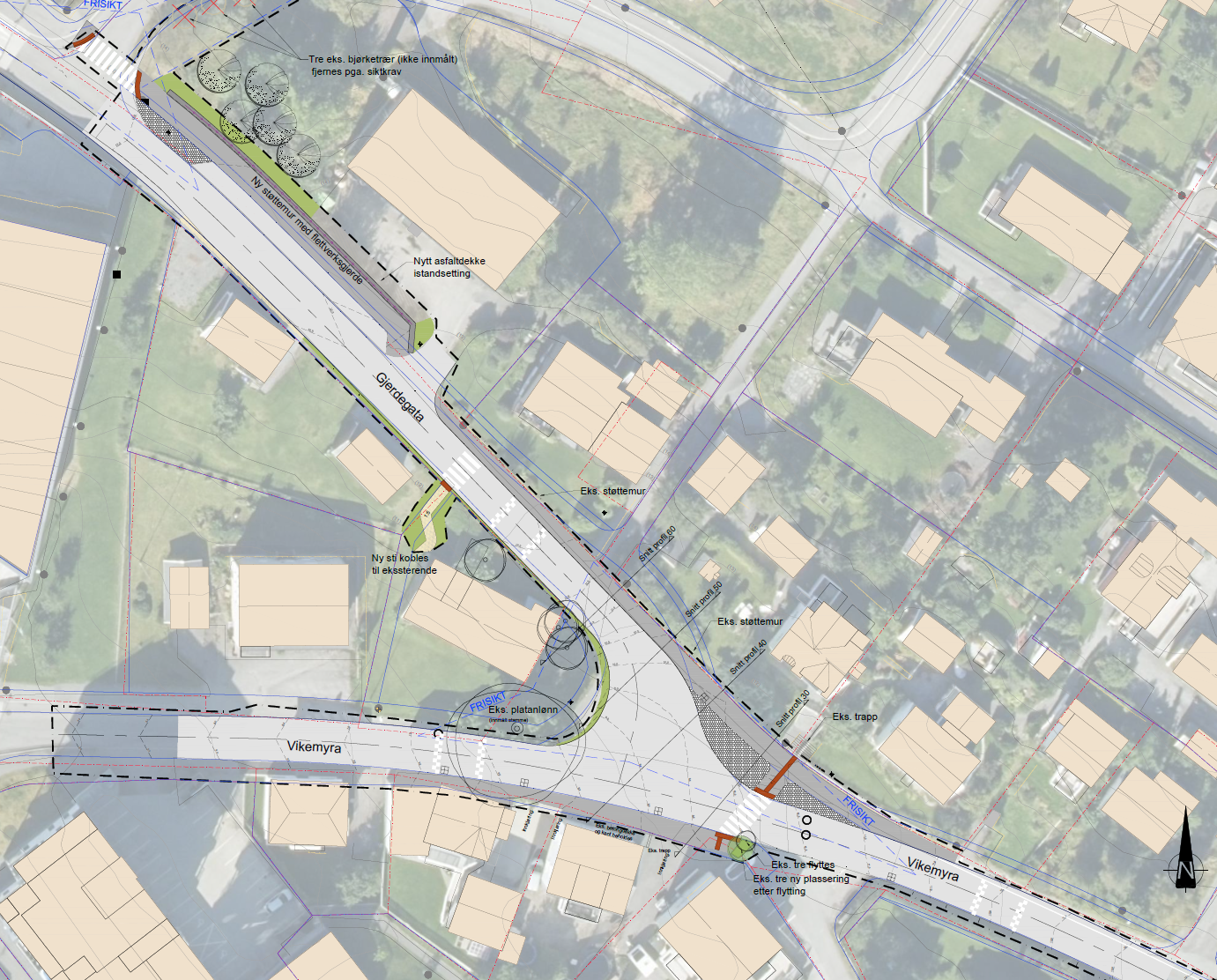
Oppstart anleggsarbeid Trillenkrysset
Ulstein kommune startar opp arbeid med krysset Vikemyra x Gjerdegata (Trillenkrysset) 16. mars.
12.03.2026
SeniorTimen - torsdag 12. mars
I dag får SeniorTimen besøk av kommunepsykolog Tomas Brandal Myklebust som vil halde eit fagleg innlegg om søvn og uro.
Sjå fleire saker